首页 宝鸡信息 宝鸡资讯

自然资源部 国家林业和草原局通报2025年一季度18个破坏耕地、毁林毁草典型问题

(来源:网站编辑 2025-04-22 18:32)
文章正文

党中央、国务院高度重视耕地保护和生态保护工作,明确要求落实最严格的耕地保护制度、生态环境保护制度和节约集约用地制度。自然资源部、国家林业和草原局坚决贯彻落实习近平总书记一系列重要指示精神和党中央、国务院重大决策部署,加强监督检查,督促各地落实耕地保护和生态保护主体责任。2025年一季度督察和监管执法发现,部分地方市县政府主体责任、相关部门监管责任落实不到位,对违法违规破坏耕地、林地、草地问题发现查处不及时,个别地方政府及部门默许纵容甚至主导违法等问题。这些违法违规行为,冲击了耕地红线和生态保护红线。

为切实发挥警示震慑作用,自然资源部、国家林业和草原局决定联合通报18个破坏耕地、毁林毁草典型问题。地方政府及相关部门要深刻汲取教训,依法依规严肃整改查处,同时严防简单化、“一刀切”。各地要认真落实主体责任,加强全链条监管,健全完善常态长效监管机制,守牢底线红线。

1.‍天津市武清区西街村张某等擅自改变林地用途105.4亩

天津市武清区是“三北”工程六期重点县区之一。2024年4月,城关镇西街村村民张某等取得林木采伐许可证,采伐本村林木105.4亩后,未按要求更新造林,擅自改变林地用途种植小麦。

2023年10月卫星影像

2024年12月卫星影像

实地照片

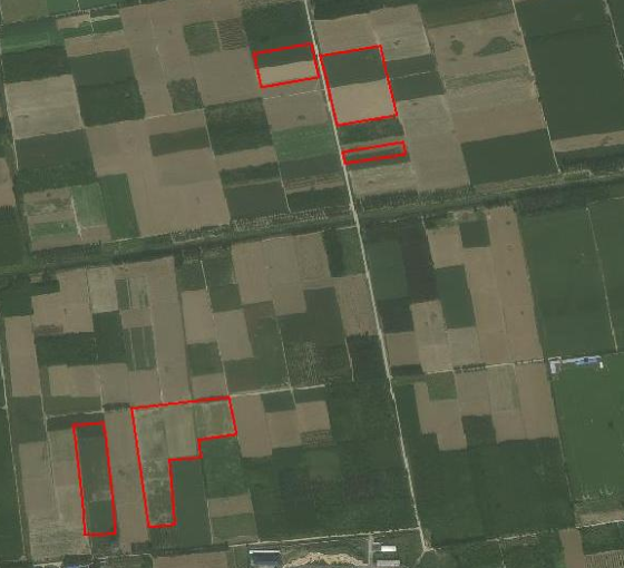
2.河北省廊坊市安次区码头镇西安庄村张某等3人种植绿化装饰草皮违规占用永久基本农田66.18亩

2024年10月至2025年3月,廊坊市安次区码头镇西安庄村村民张某等3人违规占用永久基本农田66.18亩种植绿化装饰草皮。2023年自然资源部公开通报并重点督办了廊坊市种草皮问题,廊坊市、安次区及有关镇政府、相关部门未汲取教训、举一反三、排查清理不到位。

2023年9月卫星影像

2025年1月卫星影像

实地照片

3.张某在内蒙古森工集团毕拉河林业公司施业区内毁坏林木面积314.92亩

2024年8月,毕拉河森林资源管理中心管护员巡护发现,张某在毕拉河林业公司羊其河林场208、209林班内,利用无人机喷洒农药“敌草快”,毁坏林木面积314.92亩,毁坏林木11434株。

2023年9月卫星影像

2024年9月卫星影像

实地照片

4.内蒙古自治区科尔沁左翼中旗毕某擅自开垦天然牧草地179.5亩

2022年8月,毕某在通辽市科尔沁左翼中旗珠日河牧场擅自开垦天然牧草地179.5亩,种植农作物。

2022年6月卫星影像

2022年9月卫星影像

实地照片

5.内蒙古大唐国际托克托发电有限责任公司擅自占用草原146.74亩

2022年以来,大唐国际托克托发电有限责任公司在未经林草主管部门审核同意下,擅自占用呼和浩特市托克托县新营子镇乃同村草原146.74亩,堆放煤渣等废弃物,草原植被遭到破坏。

2021年6月卫星影像

2024年12月卫星影像

实地照片

6.内蒙古自治区鄂伦春自治旗王某擅自占用天然牧草地65.62亩

2023年以来,王某擅自占用呼伦贝尔市鄂伦春自治旗乌鲁布铁镇乌尔其村天然牧草地65.62亩,堆放砂石料,草原植被遭到破坏。

2022年6月卫星影像

2024年6月卫星影像

实地照片

7.吉林省梅河口市政府主导推动建设温泉洗浴项目违法占用耕地8.92亩、林地3.64亩

2023年11月,梅河口东北旅游发展集团有限公司未经批准擅自占用梅河口市湾龙镇五奎顶子村耕地8.92亩、林地3.64亩建设温泉河谷温泉洗浴项目。梅河口市湾龙镇政府2024年1月对该问题下达行政处罚决定书,决定没收并处以罚款,梅河口市财政局仅采取形式上的没收。梅河口市政府2024年3月专题会议研究决定允许该项目边施工边办理审批手续。

2023年8月卫星影像

2024年9月卫星影像

实地照片

8.黑龙江省哈尔滨市联庆塑料包装容器有限公司在存量违法问题未整改情况下又新增违法占用耕地6.33亩

2014年10月,胡某通过流转等方式取得哈尔滨市香坊区成高子镇和平村土地26.59亩(耕地16.35亩),未经批准擅自建设车间及附属物。2019年,哈尔滨市联庆塑料包装容器有限公司通过与胡某签订《买卖合同》方式非法取得该地块及地上建筑。在存量违法问题未整改的情况下,2024年6月又擅自占用地块内耕地6.33亩新建厂房。

2023年9月卫星影像

2024年9月卫星影像

实地照片

9.浙江省嘉兴市禾睿农业科技有限公司建设民宿和文旅项目违法占用永久基本农田31.32亩

2018年6月以来,嘉兴市禾睿农业科技有限公司未经批准擅自占用嘉兴市南湖区凤桥镇永红村土地44.6亩(耕地38.34亩、永久基本农田31.32亩)改造扩建民宿、新建露营地、游乐场地、停车场等。

2018年11月卫星影像

2024年11月卫星影像

实地照片

10.安徽省淮北市濉溪县刘桥镇政府违法出租耕地43.58亩,并骗取临时用地批准

2017年7月以来,刘桥镇政府违规将火神庙村43.58亩耕地租赁给淮北市鑫义公路工程有限公司,用于建设商品沥青搅拌站项目,在不符合临时用地条件的情况下三次以其他重点工程临时用地为名,向濉溪县及淮北市自然资源部门骗取临时用地手续。濉溪县政府明知项目违法用地,未采取纠正措施。

2014年10月卫星影像

2024年11月卫星影像

实地照片

11.山东省潍坊市诸城市林家村镇武某等3人非法采矿破坏永久基本农田35.93亩

2021年初至2025年3月,武某等3人分别在山东省潍坊市诸城市林家村镇东公村等3个村130.64亩土地上非法开采建筑用凝灰岩、土石料约19.55万立方米,破坏耕地96.23亩(其中永久基本农田35.93亩)。林家村镇政府明知武某在设施农业用地上非法采矿且被多次查处,依然于2024年3月为其办理设施农业用地延期手续。

2020年7月卫星影像

2025年2月卫星影像

现地照片

12.湖南省安仁县出水垅建筑石料用灰岩矿开采项目擅自占用林地218.4亩

2010年以来,郴州市安仁县牌楼乡出水垅建筑石料用灰岩矿开采项目,在未取得使用林地行政许可的情况下,持续非法占用安仁县牌楼乡林地。2020年9月至2024年11月,安仁县林业局多次对其行政处罚,至今仍有218.4亩非法占用林地问题未查处整改。

2010年1月卫星影像

2025年2月卫星影像

实地照片

13.贵州省毕节市桃花源家庭农场种植绿化装饰草皮违规占用永久基本农田58.80亩

2025年3月,桃花源家庭农场违规占用毕节市威宁县金钟镇冒水社区63亩耕地(永久基本农田58.80亩)采取铺植方式种植绿化装饰用草皮。

2024年3月卫星影像

永久基本农田套合图

实地照片

14.云南省怒江州兰坪县恒磊采石有限公司以“排危除险”为名非法采矿侵占生态保护红线13.4亩

2024年8月,兰坪恒磊采石有限公司以“排危除险”为名,在云南省怒江州兰坪县翠屏街道高坪村非法开采砂石矿约20万吨并对外销售,侵占生态保护红线13.4亩(其中国家级公益林地7.32亩)。

2021年11月卫星影像

2025年1月卫星影像

实地照片

15.甘肃省玉门市韩某擅自开垦天然牧草地100.36亩

2023年以来,韩某擅自开垦酒泉市玉门市清泉乡腰泉子农场天然牧草地100.36亩,草原植被遭到破坏。

2022年6月卫星影像

2023年9月卫星影像

实地照片

16.青海省泽库县泽库羊保种基地项目擅自占用草地79.14亩

2023年7月,黄南州泽库县泽库羊保种基地项目未经县级以上人民政府林草行政主管部门批准,擅自占用和日镇吉龙村天然牧草地79.14亩,建设泽库羊保种繁育基地,包括羊舍、药浴池、化验室、运动场等。

2022年10月卫星影像

2024年4月卫星影像

实地照片

17.新疆维吾尔自治区且末县麦某擅自开垦天然牧草地315.24亩

2020年4月以来,麦某先后在巴音郭楞蒙古自治州且末县阔什萨特玛乡开垦天然牧草地315.24亩,用于种植农作物,草原植被遭到破坏。

2019年7月卫星影像

2024年11月卫星影像

实地照片

18.新疆生产建设兵团第一师12团王某开垦、毁坏林地131.38亩

2023年10月,第一师12团王某擅自开垦该团场林地119.05亩种植冬小麦,毁坏林地12.33亩开挖蓄水池,共计131.38亩林地遭到破坏。

2022年11月卫星影像

2024年8月卫星影像

实地照片

【纠错】

关闭

个人信息请提出您的建议意见,我们会尽快处理解决,感谢您的支持。

姓 名     手 机    
Eamil    
反馈意见              
 
验证码  

换一张 提 交
 

首页
评论
分享
Top